犬の症例

【股関節形成不全の検査】OFA(股関節・肘関節)評価に対応しました

以前から時々大型犬のオーナー様やブリーダー様から「OFAの股関節・肘関節検査を受けられますか?」とお問い合わせをいただくことがあったのですが、このたび、当院は OFA公式の撮影基準に基づいた股関節・肘関節検査、および電子提出(Digital Submission) に正式対応いたしました。現状では対応されている病院が少ないため、お困りの方はご相談ください。

 

OFAとは?

OFA(Orthopedic Foundation for Animals)はアメリカの整形外科専門機関で、犬の股関節・肘関節などの遺伝性疾患について
世界基準の健康評価 を行っています。特に股関節形成不全(CHD)や肘関節形成不全(ED)は大型犬に多く、繁殖において重要な指標になります。

 

●OFAの評価が使われる場面

ブリーディング(繁殖)評価として

海外輸出の健康証明として

遺伝的リスクの管理として

将来の整形外科疾患の予防として

 

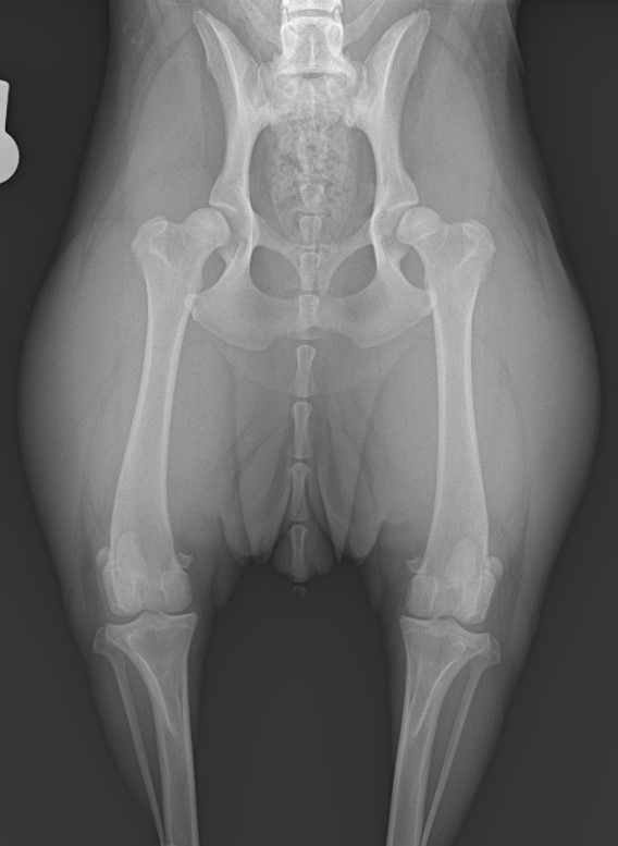
🩻 股関節(Hip)評価のポイント

OFAの股関節評価は、1枚の専用レントゲン画像(伸展位) をもとに、寛骨臼の深さ・大腿骨頭の形・関節裂隙などを総合的に判定します。

 

 

OFAの股関節グレード

Excellent

Good

Fair
→ ここまでが「正常分類」

Borderline

Mild

Moderate

Severe
→ 形成不全の段階

 

撮影のコツ

股関節の評価は、正確なポジショニング がとても重要です。大腿骨の回転が少しでもある、骨盤が左右で傾く、尾の位置がずれるなどで 評価が不正確になることがあります。できるだけ正確な姿勢で撮影することで精度の高い評価を目指しています。

 

□肘関節(Elbow)評価のポイント

OFAの肘関節評価は両側で行い、

内側鉤状突起(FCP)

肘頭の非癒合(UAP)

離断性骨軟骨炎(OCD)

関節炎の有無(OA)

などを確認します。

特に大型犬では肘関節形成不全(ED)の発生率が高く、ブリードラインの健全性を保つうえで非常に重要です。

 

Digital Submission(電子提出)に対応しています

OFAは “飼い主様からの提出は不可” のため、動物病院が代行する必要があります。

当院では

✔ 撮影
✔ 申請書の作成
✔ 画像のデジタル送信
✔ OFAへの提出・代金の清算

まで一括で対応しています。

 

紙やレントゲンフィルムをアメリカまで郵送する方法より圧倒的に早く、安全で、確実です。

 

検査の流れ

① 予約(お電話にて「股関節の検査を希望、OFA希望」とお伝えください)
② 撮影(鎮静または麻酔下で行います)
③ 書類作成
④ 電子送信(Digital Submission)
⑤ OFAより証明書がデジタル発行

結果は飼い主様のメールアドレスへ2~3週間ほどで届きます。

 

 最後に

股関節や肘関節は、大型犬の一生のQOLに大きく関わる部位です。繁殖のための評価はもちろんですが、「うちの子の股関節が大丈夫か見てほしい」という一般の飼い主様からの相談も歓迎しています。

OFA検査をご希望の方は、どうぞお気軽にお問い合わせください。